8月31日,江桥镇两块动迁基地——惠平路安置基地、吴家厅安置基地正式开工建设,项目预计在2023年上半年完工。两块基地共将提供1523套新房,届时,江桥镇火线村、太平村两村的动迁村民将搬入新家。
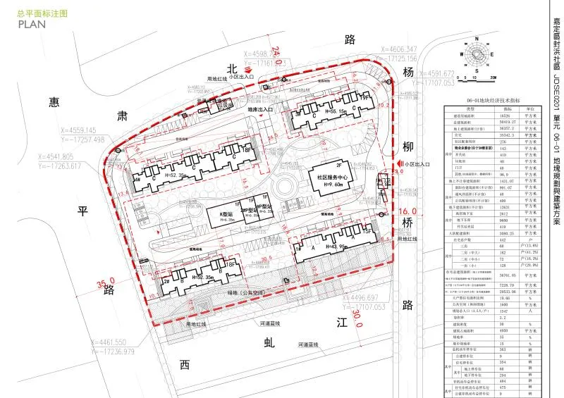
两块基地均由上海归置房地产开发有限公司建设,其中惠平路安置基地位于嘉定区江桥镇封浜社区 JDSE0201 单元 06-01 地块 (江桥 AZ003地块),基地北近肃北路、西邻惠平路、东靠杨柳桥路,南倚西虬江,主要为 15 、18、19层的高层住宅,设有一个地下车库、一个社区服务中心。地块总建筑面积 54424.37 平方米,总户数 442 户。


(施工中的惠平路安置基地)
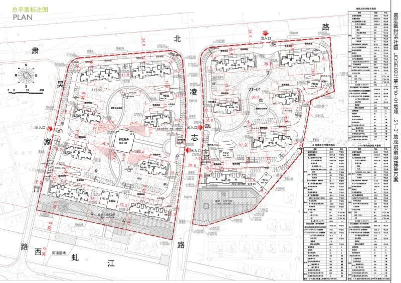
吴家厅安置基地位于嘉定区江桥镇封浜社区 JDSE0201 单元10-01、21-01 地块 (江桥AZ009、AZ010地块),基地北临肃北路、西临吴家厅路、南临西虬江,10-01 地块、21-01 地块中间由凌志路隔开,东侧靠近红光中心村。安置基地主要为16层的高层住宅,10-01地块设置有一个社区服务中心,21-01地块设置有一个公建配套(物业+商业),两个地块均设有地下车库。地块总建筑面积119596.39平方米,总户数1081户。


作者:嘉融媒通讯员宋艳红,编辑:唐敏、武利荣、王轶凡